Обяви 0 За нас Контакти
Продава ПАРЦЕЛ
град Варна, м-т Добрева чешма
местност Ян Търла
42 900 €
83 905.11 лв.

(9 €, 17.60 лв./m2)
Не се начислява ДДС
История на цената
Коригирана в 16:44 на 28 април, 2026 год.
Обявата е посетена 2839 пъти.
Площ:
5000 m2
Регулация:
ДА

Описание на имота:


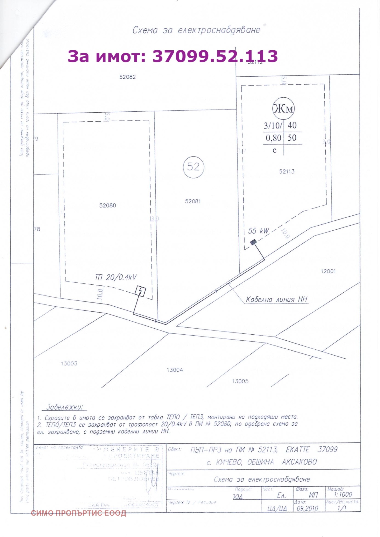
Продава се имот с площ 5000 кв.м.. с много добра гледка към морето. Имотът административно се намира в землището на с. Кичево, над м-т 'Добрева чешма' - кв. Виница -гр. Варна. Имотът е предназначен за жилищно строителство. Има изтекъл ПУП! Попада в градоустройствена зона 'Жм' с показатели на застрояване:
КИНТ 0,8
Плътност 40%
кота корниз до 10 метра, до три етажа.
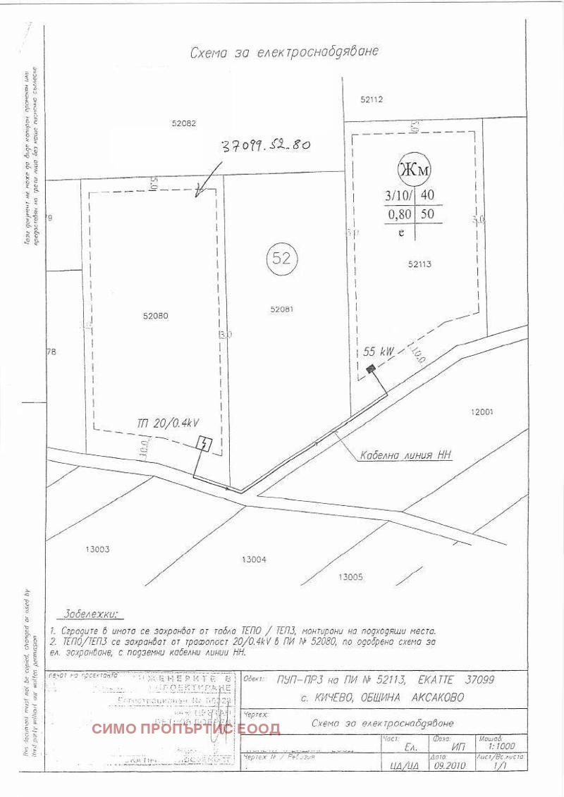
Имотът е с правилна форма. Подходящ е и за малък комплекс от къщи, по-голямо имение, вила и др.. Намира се на около 500 метра от най-близките къщи и съществуващ път. Овен за собствено ползване този имот е много подходящ и за инвестиционни цели поради развитието и засиления интерес в района. В съседство, през един имот се продава друг имот с квадратура 6000 кв.м. Вторият имот е със същия статут и градоустройствени параметри и показатели на застрояване, както на имота от 5000 кв.м.! Могат да бъдат купени заедно и двата имота и по отделно на същата цена на квадратен метър. Прилагаме в снимките част от документацията за регулацията на имота и ПУПа. Запознати сме с цялата история от придобиването на собствеността на имота, управлението през годините и сегашния му статут и ситуация. Агенцията ни се намира в пряк контакт със собственика. Агенцията ни разполага с ИЗКЛЮЧИТЕЛНИТЕ ПРАВА, за продажба на имотите и бихме могли да договорим добри и гъвкави условия за сделка.
БЛАГОДАРИМ ВИ, ЧЕ ОТДЕЛИХТЕ ВРЕМЕ ЗА ТАЗИ ОБЯВА! ЩЕ СЕ РАДВАМЕ ДА СТАНЕТЕ НАШИ КЛИЕНТИ! БЪДЕТЕ ЗДРАВИ!
За допълнителна информация и огледи: 0889 498 882 Самуил Желев
Особености
За жил.строителство
За контакт:
0889498882
Брокер:
Самуил Желев
0889498882 , 02/444 99 29
Офис: гр. София, ул. Три уши 1, ет. 2, офис 6
Още оферти от брокера: Продава | Дава под наем | Купува | Наема
Агенция:
СИМО ПРОПЪРТИС ЕООД
0889 498 882 , 02/444 99 29
СИМО ПРОПЪРТИС ЕООД logo
Медал за прослужено време
В imot.bg от 2010 г.
simoproperties.imot.bg
Адрес:
област София, гр. София, ул. Три уши 1, ет. 2, офис 6, ЕИК 206717441
ИЗПРАТИ ЗАПИТВАНЕ
ИЗПРАТИ ЗАПИТВАНЕТО

Продава ПАРЦЕЛ
град Варна, м-т Добрева чешма
местност Ян Търла
Обява: 1r167811588483435

42 900 €
83 905.11 лв.
История на цената
(9 €, 17.60 лв./m2)

Не се начислява ДДС
ЗАПАЗИ ОБЯВАТА

Местоположение: град Варна, м-т Добрева чешма, местност Ян Търла

Допълнителни данни за имотите в района и сравнение с други райони

Покажи

Период

и 5 месеца

* Средните цени са определени чрез медианна стойност